-
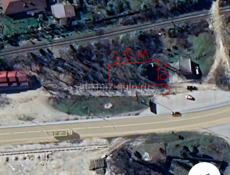
Земельный участок. 3 сотки. Возле Сухумского шоссе.
Дополнительная информация: Продам участок возле поворота в село Аацы. По Сухумскому шоссе. Напротив «Пятерочки». Возможен обмен на машину. Документы в порядке. Связь по ватсап. +79409605508.
+79407780878
Дата подачи объявления: 10.02.2026 16.24
Пожаловаться
-
Поделиться с друзьями

Участок Гудаута
Аренда помещения
Ищу помещение в Сухуме
Сдается 3 комнатная квартира
Стабилизатор напряжения 220 в 20 киловат
Требуется водитель-экспедитор
Водители в трансфер со своим авто
Требуется кассир
Продаю дом
Сдается в аренду
Менеджер в прокат автомобилей.
Сиделка с проживанием в деревню Лыхны❗️
Асики с доставкой в Абхазию 🇹🇬
РЕМОНТ ЭЛЕКТРОННЫХ ПЛАТ
🍽️🌟 Garuda Бутик-отель ищет Официанта шведской линии! 🌟🍽️
Скупка золота и ювелирных изделий
Продаётся торговый ларёк 4/2!
Требуется слесарь
Продаётся коляска, в хорошем состоянии. Mima Xari Sport 2в1.
Майнеры с доставкой в Абхазию 🇹🇬
🚗 Трансферная компания ищет водителей
Требуется сотрудник на мойку самообслуживания
продается коптильное помещение
Сдается 2-х комнатная квартира в районе Турбазы
Требуется торговый представитель
Лучшие в Абхазии цены
Продается двухэтажный дом
Водитель экспедитор
Требуются администратор и хостес в салон красоты❗️
Продается готовый бизнес в центре Сухума

Требуется бухгалтер
Открытие мясного магазина
ПИЛА ЛЕНТОЧНАЯ ДЛЯ МЯСО с МЯСОРУБКОЙ
Куплю алюминиевый шифер 10 шт
Экскаватор JCB
Квартира в Синопе
Требуется повар
Сдается помещение в г. Сухум
Garuda -Глэмпинг с. Дзыгута требуется бармен
Фасовочно упаковочный автомат Инпак-Эконом+ мдв-11
РЕМОНТ ХОЛОДИЛЬНИКОВ
Продам дом. Сухум (280м2)
📌 УЧАСТОК КЫНДЫГ
МАЙНИНГ ЧАТ 🌴 АБХАЗИЯ
Строительная компания @vertikal__stroy
Персонал в гостевой дом
Продаётся телевизор новый LG в коробке! Продается сейф!
ПРОФЕССИОНАЛЬНАЯ УСТАНОВКА КОНДИЦИОНЕРОВ
Магазин Автошина г.Сухум ул.Адлейба 32
Покупка золотых зубов, коронок и золотых протезов (стоматологическое золото)
Экскурсионное агентство набирает кассиров-реализаторов экскурсионных билетов
продается 4х комнатная квартира
Требуется сантехник в г. Пицунда
Требуется повар
Участок в селе Баслата
Требуется повар
Сдаются ларьки на летний сезон.
Подписки на ИИ 🔥
Домики и номера на берегу моря в Пицунде
Требуется электрик
Требуется фармацевт
Требуется логист 