-
Срочно
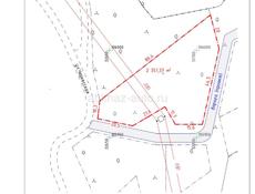
Дополнительная информация: Продам или обменяю участок 25 соток . На участке лессной массив и горный ландшафт. Место шикарное для отдыха либо создания базы отдыха по типу глэмниг . Возможен обмен на авто с доплатой . Рассмотрю разные варианты . Вид на море просто шикарный. Может кто то рассматривает больше территории тоже можете писать . 3 🍋
Цена: 3 000 000 руб.
+79409937767
Дата подачи объявления: 05.02.2026 14.31
Пожаловаться
-
Поделиться с друзьями

Оказываем все виды геодезических услуг в Абхазии:
Эвакуатор 24/7
Продается 2 х комнатная квартира в центре г.Гагра
Лучшие в Абхазии цены
Автозапчасти из Америки ✅
Принимаем заявки 7️⃣6️⃣5️⃣1️⃣5️⃣1️⃣5️⃣
Камины ручной работы
1. АДМИНИСТРАТОР САЛОНА КРАСОТЫ VERONA 2. ХОСТЕС
Сдаётся 3х комнатная квартира
Превратите свой автомобиль в источник дохода с RentCarABH!
Пластиковые окна и двери под заказ !!Тел 9933072
Уверенное материнство
Аренда коммерческого помещения Воронова 1
Продам кровать б/у 120×200 с матрасом.
Изготовление и установка жалюзи
Продается квартира. Бзыбь
Участок 3,5 сотки (Сухум)
Лазерная эпиляция -50%
Продается дом с участком по ул. Джонуа 






Продаётся роскошный дом в Гагре!
Джинсовые комбинезоны. Новая коллекция
Менеджер по сдачи автомобилей в аренду.
Аренда авто
Срочно!! 2.8🍋
✅ РАЗМЕЩЕНИЕ РЕКЛАМЫ НА ЛЭД-ЭКРАНЕ В ЦЕНТРЕ СУХУМА
Алахадзы 26 соток
Требуется бухгалтер
Срочно
Продаётся телевизор новый LG в коробке! Продается сейф!
Продается участок на берегу 18 соток . Алахадзы
Продаю 5-ти комнатную квартиру
Сдается 1комн квартира
Запчасти Тормозные колодки с автоматической подтяжкой ручника
Предоставление геодезических услуг, соответствующих государственным стандартам и требованиям законодательства
Продаются индюшки
Администратор / посудница / горничная
Поездка в Парк Галицкого
Продается здание с готовым бизнесом
Экскаватор JCB
В Garuda Глэмпинг (с. Дзыгута) требуется помощник бухгалтера