-
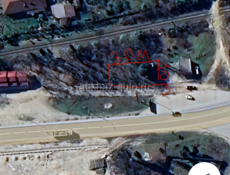
Земельный участок. 3 сотки. Возле Сухумского шоссе.
Дополнительная информация: Продам участок возле поворота в село Аацы. По Сухумскому шоссе. Напротив «Пятерочки». Возможен обмен на машину. Документы в порядке. Связь по ватсап. +79409605508.
+79407780878
Дата подачи объявления: 14.01.2026 23.35
Пожаловаться
-
Поделиться с друзьями

Требуется повар
Аренда помещения
Майнеры с доставкой в Абхазию 🇹🇬
продается 4х комнатная квартира
Сдается помещение в г. Сухум
Требуется бухгалтер
Экскаватор JCB
Открытие мясного магазина
Требуется слесарь
Ищу помещение в Сухуме
Домики и номера на берегу моря в Пицунде
продается коптильное помещение
Требуется торговый представитель
Подписки на ИИ 🔥
Участок Гудаута
ПРОФЕССИОНАЛЬНАЯ УСТАНОВКА КОНДИЦИОНЕРОВ
Продаю дом
Асики с доставкой в Абхазию 🇹🇬
Сдается 3 комнатная квартира
Продаётся телевизор новый LG в коробке! Продается сейф!
Требуется фармацевт
Требуется кассир
Продам дом. Сухум (280м2)
Менеджер в прокат автомобилей.
Водитель экспедитор
Сдается в аренду
📌 УЧАСТОК КЫНДЫГ
Строительная компания @vertikal__stroy
Фасовочно упаковочный автомат Инпак-Эконом+ мдв-11
РЕМОНТ ХОЛОДИЛЬНИКОВ

Продаётся торговый ларёк 4/2!
Куплю алюминиевый шифер 10 шт
Стабилизатор напряжения 220 в 20 киловат
Сдается 2-х комнатная квартира в районе Турбазы
Требуется логист
Сдаются ларьки на летний сезон.
Требуется повар
Требуются администратор и хостес в салон красоты❗️
Продается двухэтажный дом
Продаётся коляска, в хорошем состоянии. Mima Xari Sport 2в1.
РЕМОНТ ЭЛЕКТРОННЫХ ПЛАТ
Персонал в гостевой дом
Garuda -Глэмпинг с. Дзыгута требуется бармен
МАЙНИНГ ЧАТ 🌴 АБХАЗИЯ
Водители в трансфер со своим авто
Участок в селе Баслата
Магазин Автошина г.Сухум ул.Адлейба 32
Покупка золотых зубов, коронок и золотых протезов (стоматологическое золото)
🚗 Трансферная компания ищет водителей
Лучшие в Абхазии цены
Сиделка с проживанием в деревню Лыхны❗️
Требуется повар
Требуется сантехник в г. Пицунда
Экскурсионное агентство набирает кассиров-реализаторов экскурсионных билетов
Продается готовый бизнес в центре Сухума
ПИЛА ЛЕНТОЧНАЯ ДЛЯ МЯСО с МЯСОРУБКОЙ
Скупка золота и ювелирных изделий
Квартира в Синопе
Требуется водитель-экспедитор
Требуется сотрудник на мойку самообслуживания
🍽️🌟 Garuda Бутик-отель ищет Официанта шведской линии! 🌟🍽️
Требуется электрик 